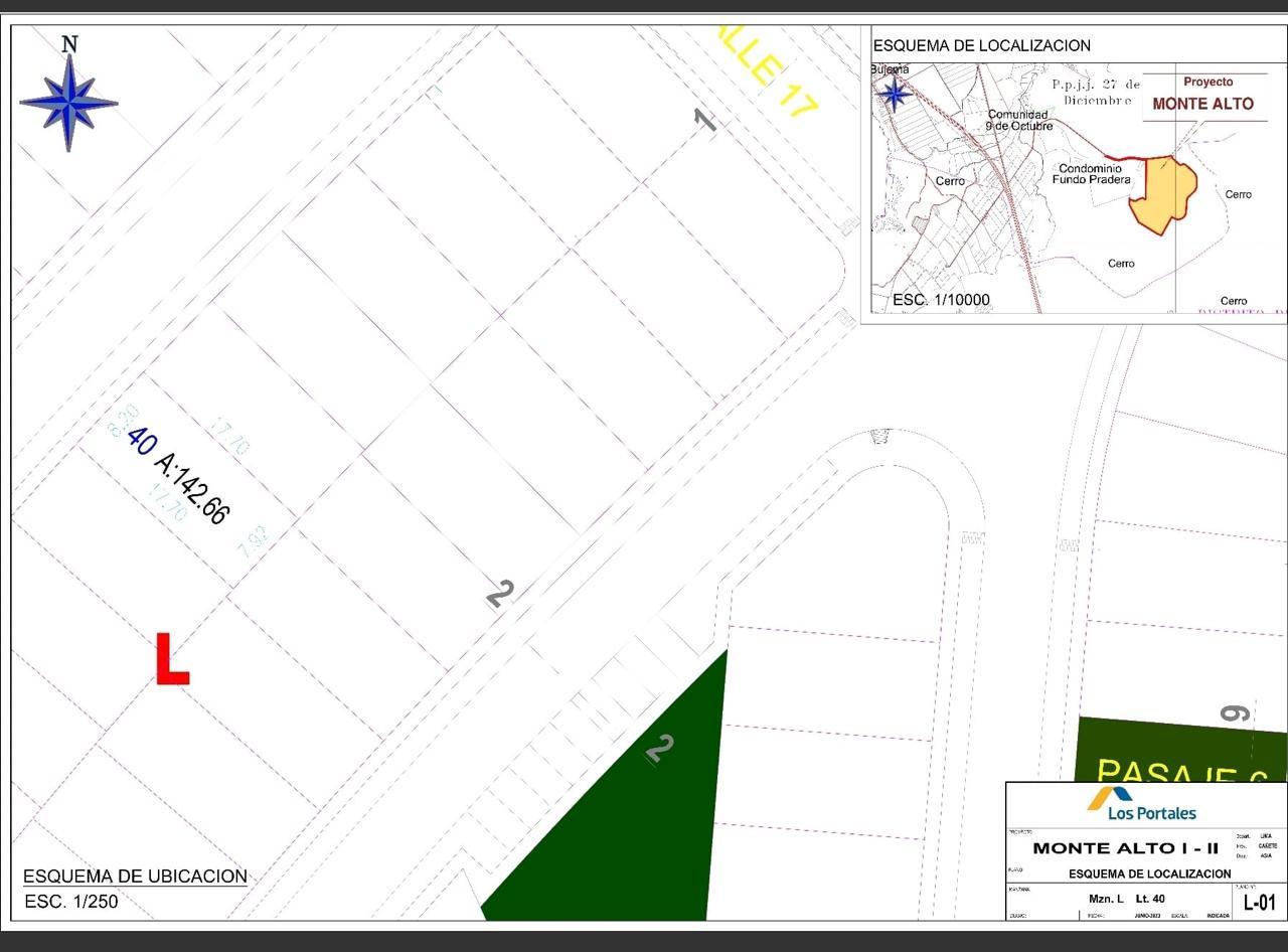
Venta de Terreno en Asia de 142.66 m² ubicación estratégica: Mz L Lt 40 – Monte Alto 1, Etapa 2, Asia, Cañete, Lima
Potencial Terreno con documentación en regla: partida registral, PU-HR
Medidas del terreno:
Frontis: 8.20 ml | Fondo: 17.70 ml
Listo para construir o invertir con total seguridad
¡Oportunidad Tu terreno ideal en la mejor zona de Asia!
Ubicado frente a una hermosa piscina y club house, dentro del exclusivo condominio Monte Alto, cerca... Leer descripción completa
Venta de Terreno en Asia de 142.66 m² ubicación estratégica: Mz L Lt 40 – Monte Alto 1, Etapa 2, Asia, Cañete, Lima
Potencial Terreno con documentación en regla: partida registral, PU-HR
Medidas del terreno:
Frontis: 8.20 ml | Fondo: 17.70 ml
Listo para construir o invertir con total seguridad
¡Oportunidad Tu terreno ideal en la mejor zona de Asia!
Ubicado frente a una hermosa piscina y club house, dentro del exclusivo condominio Monte Alto, cerca del Boulevard de Asia y de las playas más exclusivas del sur.
Disfruta una vida rodeada de naturaleza y confort:
Piscinas | Laguna | Fogata
Canchas de fútbol, tenis, frontón, básquet
Ciclovía | Juegos para niños | Parrillas
Club house y mucho más
Mantenimiento mensual: S/ 211 soles, incluye vigilancia, cámaras, limpieza y sostenimiento de áreas comunes.
Zona de alta revalorización, ideal para vivienda o inversión a mediano plazo.
Aquí no solo compras un terreno, adquieres calidad de vida.
¡No dejes pasar esta oportunidad única en Asia!
Contáctame , hoy mismo para agendar tu visita y conocer este excelente terreno en una de las zonas con mayor proyección de valorización al sur de Lima.